chemins.be
Sauvegardons nos sentiers
Association
Notre association
Nos actions
Dossiers Locaux
Notre périodique
Nous rejoindre
Contact
Documentation
Wikichemins
Questions fréquentes
Vademecum
Politique de confidentialité
Actualités
Actualités et enquêtes
Facebook
Visites terrains
Commentaires
Traces
Inventaire
Introduction
Recherche avancée
Ma position
Enregistrer mon parcours
Carte de Wallonie
Avertissements
Connexion
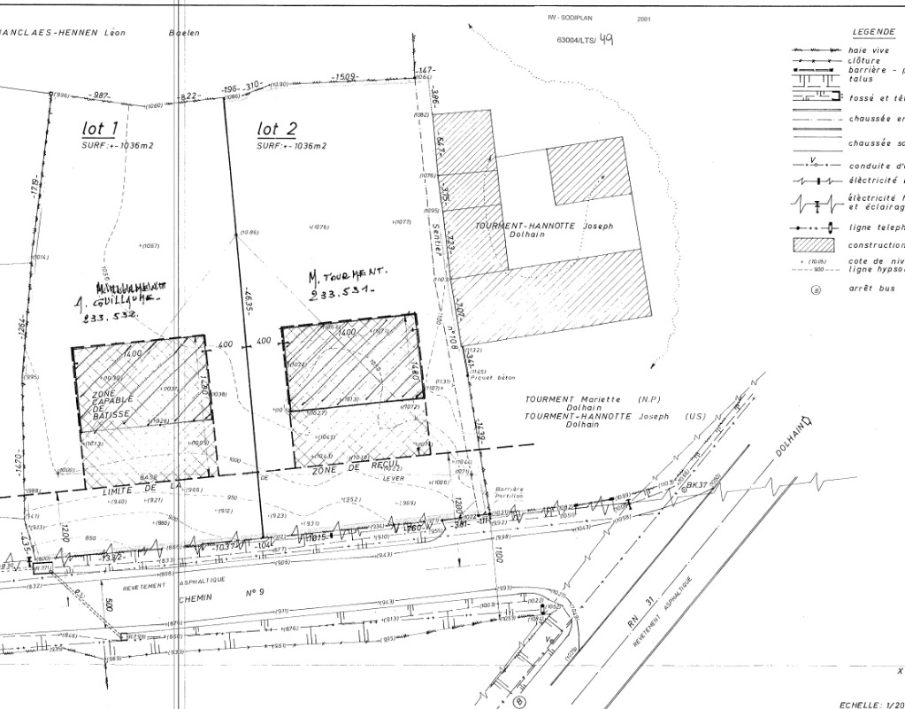
Plan de lotissement
Bienvenue sur chemins.be
Merci de lire les
conditions d'utilisation
J'ai lu les conditions d'utilisation et je les accepte
Voir
/photo/382052?typ=d
Plan de lotissement
Plan de lotissement
18/01/1978
Baelen
108
Attention
: la carte peut ne pas refléter l'endroit extact relatif à cette archive
Commentaires et archives
Entrer un commentaire